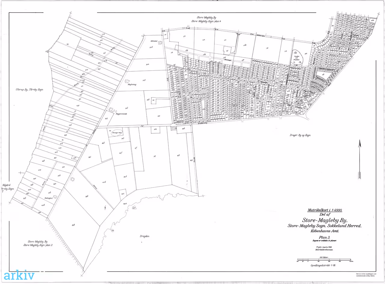
Del af Store Magleby by. Plan 3.

Nummer K4014
Type Kort og tegninger
Beskrivelse Matrikelkort, der viser området mellem Engvej, Krudttårnsvej,
Hartkornsvej og Fælledvej.
Årstal 1960
Udført af Matrikeldirektoratet
Størrelse 85 x 60 cm
Målestoksforhold 1:4000
Materiale Matrikelkort
Se på kort
Type Sogn (1000-2050)
Enhed Store Magleby Sogn (1000-2050)
Arkiv Historisk Arkiv Dragør

Søg videre i Historisk Arkiv Dragør

Top
;